こんばんは。
宮古島2日目は「シュノーケリングツアー」に参加。
出発前にショック過ぎる出来事があり憂鬱なままの出発となりました。
↑このお話はまた後日。
「シュノーケリングツアー」の待ち合わせ場所が伊良部島にあるショップ。
レンタカーが借りれなかったのでタクシーで伊良部島へ

今回の目的その1 「(宮古島の)3つの橋を渡る」達成できました♪
伊良部大橋はカメが多く出没するポイントらしく、海を眺めていたら
ウミガメが泳いでいました。朝からウミガメに出会えるなんて素敵♪
宮古島2日目の【1日1ヶ所】は「シュノーケリングツアーに参加する」

前日に車で渡った「池間大橋」を今度は船で橋の下を通って
サンゴで有名な「八重干瀬(やびし)」へ

・・・以前にダイビングした時とはサンゴの量が減り過ぎて衝撃!!
台風や水温上昇などもあり、以前と比べると8割もサンゴが減っているそうです。

↓ファインディング・ニモに出てくる”ドリー”と同じ魚↑

正式名称は「ナンヨウハギ」

サンゴとカラフルな熱帯魚を眺めるのは楽しい♪
程よく泳いだ所で1本目終了。場所を少し移動して
「八重干瀬(やびし)」の違う場所で2本目♪

さっきの場所よりも、少し深い場所もありサンゴが沢山!!



サンゴと魚を満喫♪

夫婦で仲良く手をつないで記念撮影してもらいました。(笑)

お昼休憩するポイントへ移動していたら
何だ??あの水色のキレイな海は!!

遠浅になっている砂地。以前はウミガメが沢山いたそうですが
台風でウミガメのエサが流されて、ウミガメは来なくなったそうです。(残念!)

ウソの様にキレイな海を眺めながらお昼を食べたり
海へ入って泳いだり、ドローンで撮影してもらったりして、しばし休憩。

また移動して次に行ったのは「大龍門」の洞窟。
ここへ来る途中は、船からウミガメを沢山みる事ができました。
パワースポットで信仰の場所でもある為に入る時には挨拶をして入りました。
海底から湧き水が出ているので、めちゃくちゃ冷たい水と海水の場所があり
洞窟に近づくと、ほぼ真水でしょっぱく無い。

内部から撮影。
内部は入口より広い洞窟。
奥へ続く洞窟の一つは、立ち入りも撮影も禁止の場所がある神聖な場所でもありました。
「穴に右足を入れて、上から落ちてくる水滴を飲むと美人になれる」と言われる場所があり
もちろんやってきました。無事に水滴を飲む事ができました。
美人になれるといいなぁ~♪
約5時間のシュノーケリングツアーが終了!
最後には美人になれるパワースポットまで巡れて、盛沢山なシュノーケリングツアーでした。
目的その2「ダイビング」は出来なかったけど、大満足なシュノーケリングだったので
目的その2も達成!
いつもの家事にプラス【1日1ケ所】
1つ 手放す。
1ケ所 余分に掃除する。
1ケ所 整理収納する。
1つ 新しい事に挑戦する。
今日からでも はじめてみませんか?
1日一ケ所
楽天トラベルのスーパーSALEは20日まで!!
ハワイでのシュノーケリングはイルカに会いに行きました。
フィジーでツアーに参加してシュノーケリングした時の話↓
旅行・お出かけの過去記事をもっと見る↓
皆はどんな所へ旅行に行ってる??

#旅行
#温泉
#ドライブ旅行
本日もブログにお付き合い頂きありがとうございました。
■ランキング
2つのランキングに参加しています。
読んだよ♪の印にポチっと応援お願いします。m(__)m

にほんブログ村

整理・収納ランキング
■Instaglam ブログ更新お知らせのインスタです。

お弁当・食べたもの(たまにオカメ’s)インスタはコチラ★
■買ったモノ・気になるもの詰まってます。
まめ嫁のROOM
■ご登録頂くと、このブログの更新通知が届きます。

■ピンタレストやってます。
宮古島2日目は「シュノーケリングツアー」に参加。
出発前にショック過ぎる出来事があり憂鬱なままの出発となりました。
↑このお話はまた後日。
「シュノーケリングツアー」の待ち合わせ場所が伊良部島にあるショップ。
レンタカーが借りれなかったのでタクシーで伊良部島へ

今回の目的その1 「(宮古島の)3つの橋を渡る」達成できました♪
伊良部大橋はカメが多く出没するポイントらしく、海を眺めていたら
ウミガメが泳いでいました。朝からウミガメに出会えるなんて素敵♪
宮古島2日目の【1日1ヶ所】は「シュノーケリングツアーに参加する」

前日に車で渡った「池間大橋」を今度は船で橋の下を通って
サンゴで有名な「八重干瀬(やびし)」へ

・・・以前にダイビングした時とはサンゴの量が減り過ぎて衝撃!!
台風や水温上昇などもあり、以前と比べると8割もサンゴが減っているそうです。

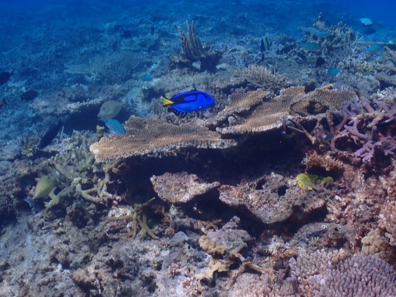
↓ファインディング・ニモに出てくる”ドリー”と同じ魚↑

正式名称は「ナンヨウハギ」

サンゴとカラフルな熱帯魚を眺めるのは楽しい♪
程よく泳いだ所で1本目終了。場所を少し移動して
「八重干瀬(やびし)」の違う場所で2本目♪

さっきの場所よりも、少し深い場所もありサンゴが沢山!!



サンゴと魚を満喫♪

夫婦で仲良く手をつないで記念撮影してもらいました。(笑)

お昼休憩するポイントへ移動していたら
何だ??あの水色のキレイな海は!!

遠浅になっている砂地。以前はウミガメが沢山いたそうですが
台風でウミガメのエサが流されて、ウミガメは来なくなったそうです。(残念!)

ウソの様にキレイな海を眺めながらお昼を食べたり
海へ入って泳いだり、ドローンで撮影してもらったりして、しばし休憩。

また移動して次に行ったのは「大龍門」の洞窟。
ここへ来る途中は、船からウミガメを沢山みる事ができました。
パワースポットで信仰の場所でもある為に入る時には挨拶をして入りました。
海底から湧き水が出ているので、めちゃくちゃ冷たい水と海水の場所があり
洞窟に近づくと、ほぼ真水でしょっぱく無い。

内部から撮影。
内部は入口より広い洞窟。
奥へ続く洞窟の一つは、立ち入りも撮影も禁止の場所がある神聖な場所でもありました。
「穴に右足を入れて、上から落ちてくる水滴を飲むと美人になれる」と言われる場所があり
もちろんやってきました。無事に水滴を飲む事ができました。
美人になれるといいなぁ~♪
約5時間のシュノーケリングツアーが終了!
最後には美人になれるパワースポットまで巡れて、盛沢山なシュノーケリングツアーでした。
目的その2「ダイビング」は出来なかったけど、大満足なシュノーケリングだったので
目的その2も達成!
いつもの家事にプラス【1日1ケ所】
1つ 手放す。
1ケ所 余分に掃除する。
1ケ所 整理収納する。
1つ 新しい事に挑戦する。
今日からでも はじめてみませんか?
楽天トラベルのスーパーSALEは20日まで!!
ハワイでのシュノーケリングはイルカに会いに行きました。
フィジーでツアーに参加してシュノーケリングした時の話↓
旅行・お出かけの過去記事をもっと見る↓
皆はどんな所へ旅行に行ってる??
#旅行
#温泉
#ドライブ旅行
本日もブログにお付き合い頂きありがとうございました。
■ランキング
2つのランキングに参加しています。
読んだよ♪の印にポチっと応援お願いします。m(__)m
にほんブログ村
整理・収納ランキング
■Instaglam ブログ更新お知らせのインスタです。

お弁当・食べたもの(たまにオカメ’s)インスタはコチラ★
■買ったモノ・気になるもの詰まってます。
まめ嫁のROOM■ご登録頂くと、このブログの更新通知が届きます。

■ピンタレストやってます。


コメント